Tunisie-Tribune (ouragan Lorenzo) – Le cinquième ouragan de la saison des ouragans de l’Atlantique de 2019 a fait son entrée dans les registres des records samedi soir, devenant la plus forte tempête jamais observée à ce jour au nord et à l’est de cette partie de l’océan Atlantique .
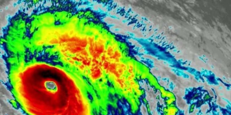
Le National Hurricane Center de Miami a déclaré dimanche à 11 heures que Lorenzo redevenait une tempête de catégorie 4 dans l’océan Atlantique central après avoir passé plusieurs heures en tempête de catégorie 5, ce qui en fait « le plus puissant ouragan jamais enregistré à ce jour est dans le bassin atlantique« .
La tempête se déplace vers le nord à 10 mi / h et est centrée à environ 1 325 km au sud-ouest des Açores, une chaîne d’îles portugaises , tout en contenant des vents maximums soutenus de 145 mph.
“Lorenzo reste un ouragan puissant et puissant sur l’Atlantique central”, à déclaré le NHC.
Selon «l’échelle des vents de Saffir-Simpson », un «ouragan majeur» est défini comme ayant des vents supérieurs à 111 mph . Les tempêtes de catégories 3, 4 et 5 sont toutes qualifiées d’ouragans «majeurs»
























































